Zaliv52

From Signal Identification Wiki
Jump to: navigation, search

Zaliv52
Zaliv52 example.png
Frequencies 4.11 MHz
Frequency Range 4.11 MHz - 4.11 MHz
Mode USB
Modulation J3E
ACF
Emission Designator
Location Moscow, Russia (speculated)
Short Description Military shortwave station broadcasting from the Western Military District in Russia. First heard in March 2017, this station has no channel marker, and it mainly broadcasts Monolith type messages and "MOLNIYA 5X" (МОЛНИЯ 5X) messages addressed to "Zaliv52" (Залив52).
I/Q Raw Recording
Audio Sample

Zaliv52 is a Russian Military station transmitting from the Moscow region. Presumably it has ties with the modern T-Marker station, both of which share specific sorts of noises, humming and all other kinds of equipment parasitic signals, such as the ~1100hz+~2200hz+~3300hz tone "marker", short bursts of which appear moments before the transmittion of a message. The station also seems to be operating a AT-3004D (CISCommonwealth of Independent States (CIS), the former Soviet Republic-12) modem, supposedly on other frequencies. Some of transmittions contained only test counts with 20 minutes of static hum following.


Audio Examples[edit]


Zaliv52 "МОЛНИЯ 54" example message:





Example of Zaliv52 and T-Marker sharing specific tones:

- Zaliv52 - T-Marker


Example of Zaliv52's activity containing only test counts:

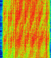
Waterfall Images[edit]